Nieruchomość gruntowa o pow. ok 1,49 ha , Polany , gmina Krynica Zdrój

Oferujemy do sprzedaży : 

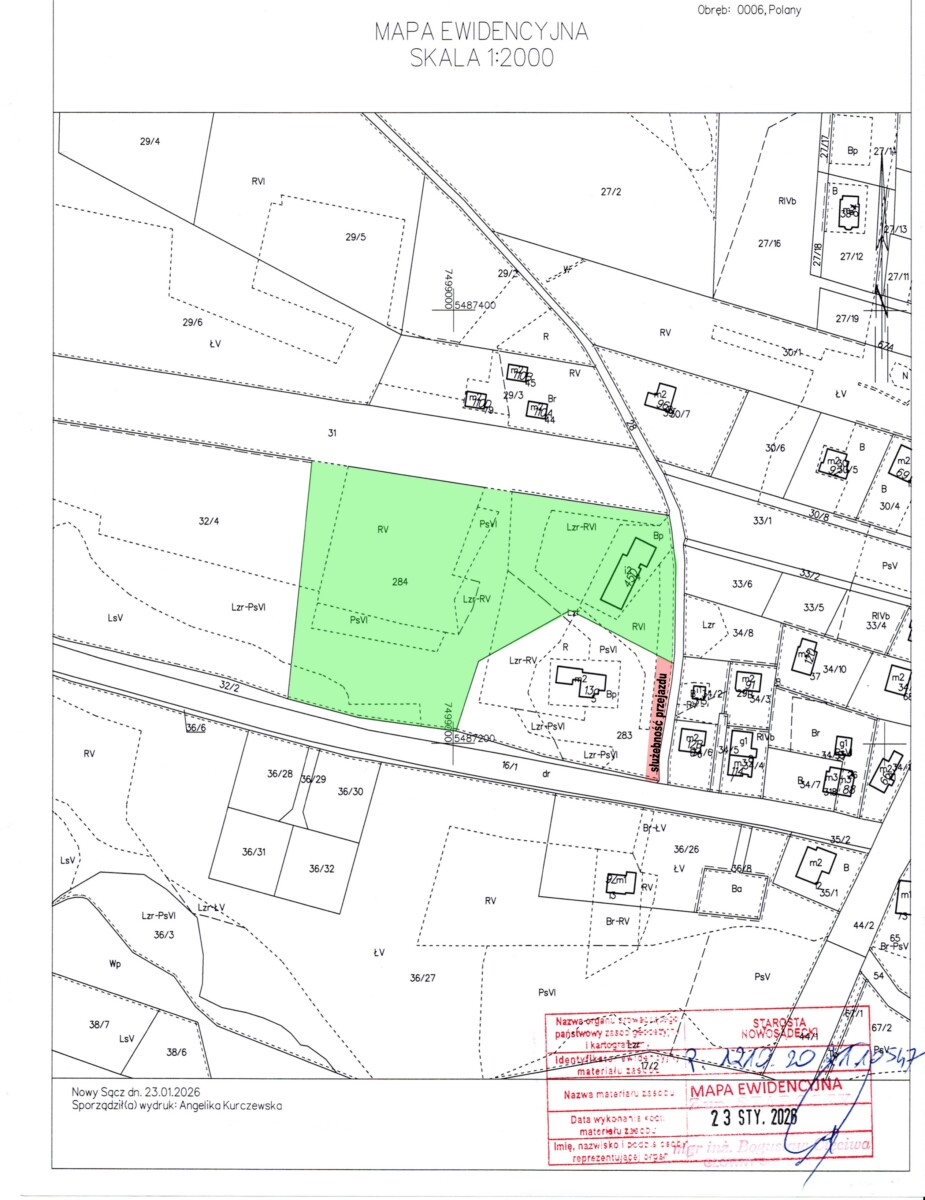
Nieruchomość gruntową o  pow. ok 1,49 ha. stanowiącą działkę ewidencyjną nr 284.

Lokalizacja: wieś Polany , gmina Krynica Zdrój , powiat nowosądecki, woj. małopolskie. 

13 km od Krynicy Zdrój. Przy skrzyżowaniu dróg : Grybów - Krynica Zdrój z drogą w kierunku na Kamianną i dalej na Nowy Sącz. 

Nieruchomość nie posiada aktualnego planu zagospodarowania przestrzennego. Obowiązują warunki i studium zabudowy. 

Część działki objęta jest w studium oznaczeniem:

WMM  - tereny wielofunkcyjne z dominacją zabudowy mieszkaniowej jednorodzinnej i zabudowy zagrodowej. 

Na działce posadowiony budynek produkcyjno - usługowy w stanie surowym o pow. ponad 400m2.  Zostało wydane pozwolenie na budowę w latach 90 , dziennik budowy nieaktualny. 

Brak dokumentacji technicznej. 

Dojazd drogą asfaltową powiatową ( Polany - Kamianna) , potem na zasadzie służebności przejazd przez działkę 283. 

W obrębie nieruchomości istnieją następujące sieci infrastruktury technicznej:

  • energetyczna 
  • gazowa 
  • kanalizacyjna 
  • wodociągowa 
  • telekomunikacyjna 

Nieruchomość posiada projekt podziału na trzy mniejsze działki zaznaczone na udostępnionej  mapie z projektem podziału:

  1. pow. 43,95 ar  
  2. pow. 43,04 ar  
  3. pow. 58,33 ar 

Nieruchomość częściowo zalesiona. 

Do sprzedaży będzie wymagana zgoda Lasów Państwowych oraz KOWR . 

Dobrze nasłoneczniona , nie posiada zagrożeń związanych z osuwiskami ani podtopieniami. 

Zapraszamy do bliższego zapoznania się z ofertą 

Szczegóły nieruchomości

ID oferty: 13414
Typ nieruchomości: Działki
Status nieruchomości: Sprzedaż

Adres nieruchomości

Liczba wyświetleń strony:

WhatsApp chat